We use cookies to ensure our site functions properly and to store limited information about your usage. You may give or withdraw consent at any time. To find out more, read our privacy policy and cookie policy.
Manage Cookies
A cookie is information stored on your computer by a website you visit. Cookies often store your settings for a website, such as your preferred language or location. This allows the site to present you with information customized to fit your needs. As per the GDPR law, companies need to get your explicit approval to collect your data. Some of these cookies are ‘strictly necessary’ to provide the basic functions of the website and can not be turned off, while others if present, have the option of being turned off. Learn more about our Privacy and Cookie policies. These can be managed also from our cookie policy page.
Strictly necessary cookies(always on):
Necessary for enabling core functionality. The website cannot function properly without these cookies. This cannot be turned off. e.g. Sign in, Language
Analytics cookies:
Analytical cookies help us to analyse user behaviour, mainly to see if the users are able to find and act on things that they are looking for. They allow us to recognise and count the number of visitors and to see how visitors move around our website when they are using it. Tools used: Google Analytics
Share Oak Leaf Trail Access Ramp to UWM on FacebookShare Oak Leaf Trail Access Ramp to UWM on TwitterShare Oak Leaf Trail Access Ramp to UWM on LinkedinEmail Oak Leaf Trail Access Ramp to UWM link
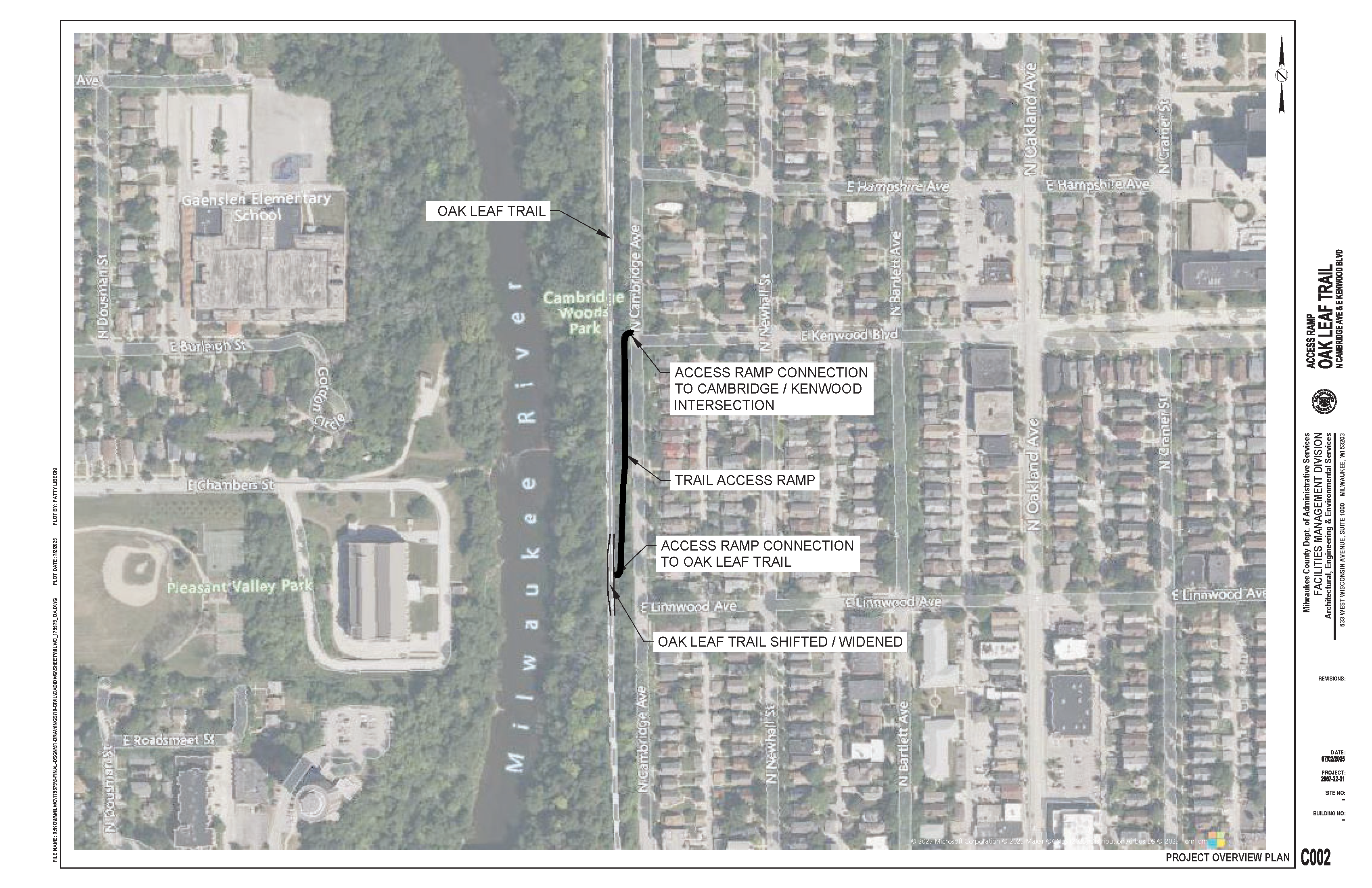
A new trail access ramp in the vicinity of Kenwood Avenue will provide a much safer and direct connection to the campus of the University of Wisconsin-Milwaukee and the 150-mile Oak Leaf Trail (OLT) system. Both the neighborhood and the university have formally requested this project in plans and informally via emails to Parks for over 10 years. With high levels of support for biking from the campus and the community, now is a great time to invest in improving trail access to campus to see increases in ridership and safety:
The OLT and UWM are only .25 miles apart as the crow flies; due to the trail being below grade, the biking/walking route to campus is on-street for .5 miles from the North or South, with a dangerous Locust Street crossing on the southern route.
This ramp eliminates that dangerous crossing and provides a direct and safer .25-mile connection on a side street.
Older adults have also requested this ramp so that they can walk on the trail, especially in winter, when the unofficial dirt paths become unsafe.
The ramp will not be a switch-back but rather a straight run with a 5% grade across the slope.
The ramp will extend from Kenwood Avenue southward to the Oak Leaf Trail.
Project Scope
A new trail access ramp in the vicinity of Kenwood Avenue will provide a much safer and direct connection to the campus of the University of Wisconsin-Milwaukee and the 150-mile Oak Leaf Trail (OLT) system. Both the neighborhood and the university have formally requested this project in plans and informally via emails to Parks for over 10 years. With high levels of support for biking from the campus and the community, now is a great time to invest in improving trail access to campus to see increases in ridership and safety:
The OLT and UWM are only .25 miles apart as the crow flies; due to the trail being below grade, the biking/walking route to campus is on-street for .5 miles from the North or South, with a dangerous Locust Street crossing on the southern route.
This ramp eliminates that dangerous crossing and provides a direct and safer .25-mile connection on a side street.
Older adults have also requested this ramp so that they can walk on the trail, especially in winter, when the unofficial dirt paths become unsafe.
The ramp will not be a switch-back but rather a straight run with a 5% grade across the slope.
The ramp will extend from Kenwood Avenue southward to the Oak Leaf Trail.
Your comments can help shape the future of your parks.
You need to be signed in to comment in this Guest Book. Click here to Sign In or Register to get involved
Love this project. Crossing Locust to get to UWM is never fun and this will make the commute more of a breeze. I do wonder why it is connecting to Kenwood and not Hartford, given the planned protected bike lanes going in on Hartford soon. Additionally, is there a timeline for when this project is going to move forward towards construction?
kyle_t111
7 months ago
Page last updated: 03 Oct 2025, 07:37 PM
Project Location
Project Stage
Plan
Oak Leaf Trail Access Ramp to UWM is currently at this stage
Project is currently at this stage. The following work may take place during the planning stage - site surveys, feasibility studies and further development of project goals, outcomes and budgets. Additionally, this may include the Department of Transportation (DOT), as appropriate.
Design
this is an upcoming stage for Oak Leaf Trail Access Ramp to UWM
This is an upcoming stage for the project. The design stage can involve several phases, including concepts, final design and engineering design plans. Once design is complete we develop technical renderings and construction plan documents.
Construction Ready
this is an upcoming stage for Oak Leaf Trail Access Ramp to UWM
This is an upcoming stage for the project. During this stage requests for bids are issued and contractors are selected. Sometimes projects may wait in this stage until construction funding is secured.
Construction
this is an upcoming stage for Oak Leaf Trail Access Ramp to UWM
This is an upcoming stage for the project. Construction is underway and will follow the construction plan - which may include several phases. During this stage facility and road closures may be needed.
Close Out
this is an upcoming stage for Oak Leaf Trail Access Ramp to UWM
This is an upcoming stage for the project. Construction has ended and final reviews are underway
In Use
this is an upcoming stage for Oak Leaf Trail Access Ramp to UWM
This is an upcoming stage for the project. The project is open to the public for use.
Love this project. Crossing Locust to get to UWM is never fun and this will make the commute more of a breeze. I do wonder why it is connecting to Kenwood and not Hartford, given the planned protected bike lanes going in on Hartford soon. Additionally, is there a timeline for when this project is going to move forward towards construction?